Logan´s Fotoalbum

Dayen mit L-Wurf  

Mama Dayen

&

Papa Rikky

 

Logan 6 Wochen alt 

Logan 5 Wochen alt

Logan 10 Wochen alt 

L-Wurf 8 Wochen alt

Logan & Liam 10 Wochen alt 

 

Logan 15 Monate

Logan 9 Monate alt

Logan 15 Monate alt


 


  

Logan Juli10 

Logan 20 Monate alt

Lad Logan von Berwangen im Oktober 2010

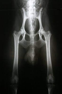
Logans Röntgenbild * HD-B