Dt. Ch. JCh. (VDH & Club) Maybe Mabel von Berwangen
 

Waage 

 




 

Wurftag: 04.10.2010
Zuchtbuchnummer: VDH SSCD 1102
Farbe: zobel-weiß:
MDR1 (+/-)

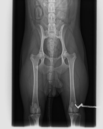
HD-A
Schulterhöhe 36,5 cm

CEA, PRA, Kat-frei 
(DOK, Fr. Dr. Meißner)
12/2010

HD-A1

 

Mabel 14 Monate 

Mabel Dezember 2011 (14 Monate alt)

  Mabel´s Fotoalbum

 

Ausstellungsergebnisse
  Ahnentafel
   Mabel´s Würfe

 

Mabel ist unser Wirbelwind mit sehr viel Temperament. Sie hat momentan nur flausen im Kopf .